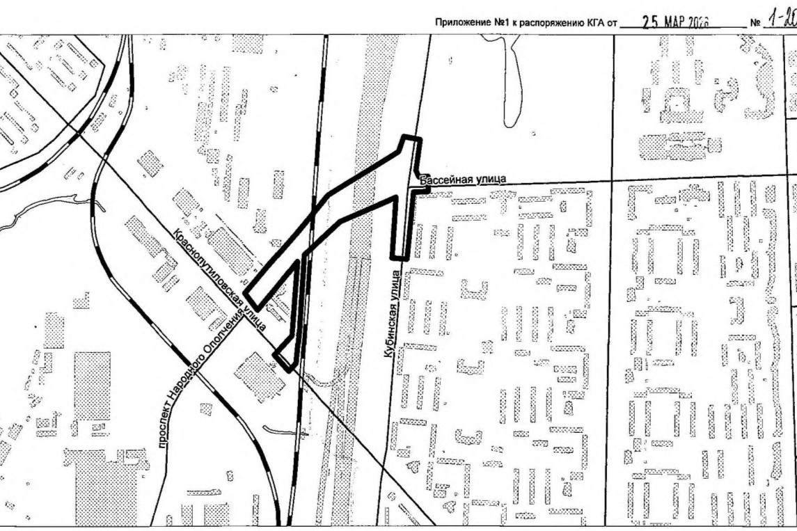
Новый транспортный тоннель построят в Петербурге между Бассейной улицей и проспектом Народного Ополчения. Соответствующее распоряжение комитета по строительству и архитектуре опубликовали 25 марта на сайте Смольного. Тоннель будет проходить под ЗСД и железнодорожными путями. Подготовить проект планировки нужно будет до 4 февраля 2027 года.
Тоннель построят вместе с новым участком проспекта Народного Ополчения. Продолжение проспекта займет территорию от Краснопутиловской до Кубинской улицы и соединит Кировский и Московский районы. Дорога рассчитана на большой транспортный поток. Она вместит от четырех до шести полос.
"Со дня официального опубликования настоящего распоряжения юридические и физические лица вправе представить в срок до 04.06.2026 в комитет по градостроительству и архитектуре предложения о порядке, сроках подготовки и содержании проекта планировки и проекта межевания территории," - следует из документа комитета по градостроительству и архитектуре.
В документе не сообщается, на какой год запланировано строительство тоннеля. Как пишет "Деловой Петербург", монтаж начнется после утверждения проекта в начале 2027 года. Контролировать исполнение распоряжения КГА будет заместитель председателя ведомства Сергей Косенко. Распоряжение действует до марта 2027 года.
В июле 2024 года губернатор Александр Беглов заявлял, что рядом с Московским вокзалом построят транспортный тоннель. Он улучшит транспортную доступность будущего терминала высокоскоростной магистрали (ВСМ) между Петербургом и Москвой.
Дарья Нехорошева / Фото: Смольный


